About 300 people turned out for a free outdoor film screening of the award-winning US documentary Gasland in Sydney Park on February 5.
The screening was supported by the City of Sydney and Palace Cinemas, and was organised by Sydney Residents Against Coal Seam Gas, a community group established to oppose plans for exploratory gas drilling in the inner-west suburb of St Peters.
Issue 867
News
The Sydney Peace Foundation awarded its “gold medal for peace with justice” to WikiLeaks editor-in-chief Julian Assange on February 2 in recognition of his “exceptional courage and initiative in pursuit of human rights”.
This award is different from the foundation’s annual Sydney Peace Prize. The foundation has awarded the gold medal on only three previous occasions: the Dalai Lama in 1998; Nelson Mandela in 2000 and Japanese lay Buddhist leader Daisaku Ikeda in 2009.
NSW planning minister Tony Kelly announced on January 18 he had approved plans by Delfin Lend Lease to build 4800 homes in Calderwood, west of Albion Park.
The decision has angered many nearby residents. It also ignored strong opposition from Shellharbour council. Opponents of the development say it is unnecessary and will destroy prime agricultural land.
The Calderwood development, which falls within the boundary of Shellharbour Council, was approved under Part 3A of the Environmental Planning and Assessment Act.
As momentous events in Egypt demonstrate, much of the world is calling to account an “old order”. These are exciting times for the possibilities of real change in the way our societies are run.
One of the catalysts of the “people power” we see on our TV screens is the extraordinary disclosure of secret information that tells us how wars begin and governments manipulate and deceive in our name.
In the tradition of courageous investigative journalism, WikiLeaks has blown the whistles that alert us to these injustices and lies, serving a basic democratic need.
New federal drug laws could make thousands of native and common garden plants illegal.
The proposed legislation will place common plants under schedule II of the drug code along with plants such as marijuana and opium poppies.
The most worrying aspect of the legislation is the sheer number of plant species that will be made illegal.
Many of the substances produced by the plants are already illegal to manufacture or consume. However, there is not any significant market for making drugs from these plants and they are not sold or produced by organised crime.
Seven climate activists who temporarily shut down coal loaders at Newcastle harbour in a September protest will wait another month to find out if they owe Port Waratah Coal Services (PWCS) $525,000 in “compensation”.
The activists appeared in Newcastle Local Court for two days of hearings on January 31 and February 3. They were convicted of “remaining on enclosed lands”.
Each was fined $300, plus $79 in court costs.
Wharfies employed by stevedoring company Patrick at four different ports across Australia took strike action in the last week of January in pursuit of a new enterprise bargaining agreement (EBA).
It was the most significant industrial action on the wharves since the 1998 Patrick lockout.
In recent ballots organised by Fairwork Australia, workers at the strike-affected ports voted (by margins of 94% to 100%) to take a range of different forms of industrial action to press their claim.
Seventy-three people who took part in a non-violent direct action protest during December’s Climate Camp appeared in Muswellbrook local court on January 31 to answer to charges under the Rail Safety Offences Act.
Hundreds of climate protesters gathered at Climate Camp for five days of talks, debates and discussions on the best ways for the community to stop the proposed expansion of Bayswater coal-fired power station. The station is already one of Australia’s largest sources of greenhouse gas emissions.
Members of environmental group Katoomba Climate Action Now (CAN) gathered on December 21 outside their local branch of the ANZ Bank to demonstrate, leaflet and chat with customers, staff and passers-by about coal.
Recent research by Greenpeace has shown the bank is one of the most substantial and consistent investors in coalmining and coal-fired power stations in Australia.
Environmental scientists regard coal as the dirtiest of power generation fuels because of its prolific carbon waste output.
Four hundred people braved very warm weather to gather at the State Library of Victoria on February 4 to show solidarity with the recent democracy protests in Egypt.
Mohamed Elmasri from the Federation of Australian Muslims and Youth told the rally that the peaceful protesters in Egypt were defiant in the face of the extreme violence from Egyptian President Hosni Mubarak’s regime.
Nazeem Haussain of the Islamic Council of Victoria also defended the Egyptian protesters.
The federal senate has agreed to an inquiry into the practice of forcible adoption in Australia between the 1940s and ’80s, supporting a motion by Greens Senator Rachel Siewert on November 15.
“Today’s vote starts to recognise the suffering that so many people have endured as a result of forced adoption policies,” Siewert said. “There is no doubt that many women were treated very badly as a result of these policies. Young and vulnerable mothers were pressured into adoptions, and often had to surrender their newborn children without being allowed to see them.
Community group Save The Old Kings School (STOKS) held a protest in Parramatta in Sydney’s west on February 2 to demand the historic old Kings School site stay in public hands.
Local residents, STOKS activists and members of the Greens and Socialist Alliance attended the action.
The school site dates back to the early days of the colony. When the school relocated to North Parramatta in 1968, the site was sold to the NSW government. It has been unused for many years.
Analysis
There seems to be a misconception in the general community that there is something attractive or good about jobs in the mining sector.
But as someone whose main career included 25 years in the refinery, mining construction and production industries, I can state quite emphatically that mining jobs are shit jobs.
It wasn't always the case, but mining jobs have become progressively less desirable in the past 20 years.
Perth man Brendan O’Connell was sentenced to three years jail under WA’s racial vilification laws on January 31. He was found guilty of six counts of vilification relating to anti-Semitic comments he posted on a YouTube video in 2009.
His jailing, and the length of the sentence, has opened up a certain controversy.
Conservative columnist Paul Murray pointed out in the February 2 West Australian that a person convicted of glassing someone in a pub could expect to receive an 18-month sentence, whereas O’Connell received three years for an “essentially political [speech]”.
The statement below was released by the Socialist Alliance on January 29.
*****
The Socialist Alliance applauds the courage and tenacity of the Tunisian people, whose protests for democracy and economic and social justice have ended the 23-year rule of dictator Zine El Abidine Ben Ali.
The Tunisian revolution has inspired ordinary people across the Arab world. Protests have broken out in Algeria, Jordan, Yemen and — most dramatically — against the United States-backed dictatorship in Egypt.
The Sydney Stop the War Coalition welcomes and supports the protests for democracy and freedom in Egypt, Tunisia and elsewhere across the Middle East.
We stand in solidarity with the Egyptian masses that are struggling for their basic rights against a dictatorship that has been supported for decades by the West.
We support the people's right to assemble and their freedom of speech without the threat of repression.
The persecution of WikiLeaks founder Julian Assange is unfortunately nothing new in the history of Australia or other Western nations. The outward appearance of democratic government often masks a darker, anti-democratic reality.
Dissenters and truth-tellers such as Assange, who dare to challenge the official version of events, have been subjected to acts of bastardry in the past.
The Australian government’s treatment of Assange today invites comparison with the earlier case of the Australian socialist journalist Wilfred Burchett, who died in 1983.
The following petition was initiated by the Sydney University Climate Action Collective and Yarra Climate Action Now.
* * *
Our top scientists have been telling us for decades that our carbon pollution is creating ever-worsening natural disasters such as floods, droughts and bushfires. Despite this and the record high ocean temperatures which contributed to our recent heavy rain, our state and federal governments have been reluctant to link climate change to the recent floods.
Heavy-handed policing in Sydney over the past few months may indicate a heightened, anti-protester attitude of NSW police.
States and territories across Australia have either a “permit” or “notice” procedure for holding protests.
NSW law has the “notice” procedure, which is very favourable for those organising protests. The completion of a simple form, given to the police with seven days’ notice, protects activists from arrest for offences like obstructing traffic.
This favourable legal situation no doubt frustrates police, who are using more aggressive means to curb protests.
The Edmund Rice Centre released the public statement below on January 26.
*****
We, Australian organisations and individuals, unite to offer this statement to our nation.
A “Memorandum of Understanding” (MOU) was recently signed between the Australian government, the government of Afghanistan and the United Nations High Commissioner for Refugees, permitting the involuntary repatriation from Australia of unsuccessful Afghan asylum seekers back to Afghanistan.
The statement below was released by the Socialist Alliance on February 4.
* * *
Solidarity and support is needed to help with the impact of the devastating floods that swept through Queensland and other states in January, and Cyclone Yasi that hit northern Queensland in early February.
The cost of loss of life and personal trauma is incalculable, and the resources needed to rebuild will be huge.
World
The deepest cuts to Britain’s public spending since World War II were announced in October. At the same time, it was revealed that some of the nation’s biggest corporations and richest people were using legal loopholes to avoid paying tax.
The treasurer in the Conservative Party-Liberal Democrat coalition government, Conservative MP George Osborne, announced that £81 billion would be slashed from public spending including £7 billion in welfare cuts.
This went up on IS singer Macy Gray's Facebook page on January 17:
"I'm booked for 2 shows in Tel Aviv. I'm getting a lot of letters from activists urging/begging me to boycott by NOT performing in protest of Apartheid against the Palestinians. What the Israeli government is doing to the Palestinians is disgusting, but I wanna go. I gotta lotta fans there I don't want to cancel on and I don't know how my NOT going changes anything. What do you think? Stay or go?"
“We will not be silenced,” shouts an Egyptian protester in one of the many videos posted on YouTube of the uprising against the Hosni Mubarak dictatorship that began on January 25.
“Whether you are a Muslim, whether you are a Christian or whether you are an atheist, you will demand your goddamn rights! And we will have our rights, one way or another, we will never be silenced!”
This statement sums up the immense change sweeping Egypt. This change is driven by a powerful mass movement that put millions of people on the streets across Egypt on February 4.
Thousands of West Papuans marched in the capital Jayapura on January 26, AFP said that day.
Marchers rejected the area’s “special autonomy” status within Indonesia and demanded a referendum on independence from Indonesia.
Protesters chanted: “Indonesia the coloniser, Indonesia the oppressor, Indonesia the robber.”
The action included students from Cenderawasih University, the Indonesian Christian Students Movement and church members, Tempo Interactive said on January 26.
David Kato Kisule, described by The New York Times on January 28 as the father of Uganda’s lesbian, gay, bi-sexual and transgender rights movement, was murdered in his home on January 26.
Kato was advocacy officer for Sexual Minorities Uganda. The killing came as increasingly violent homophobic tensions continued to escalate in the east African nation.
Kato, aged 46, was bludgeoned to death with two blows to the head from a hammer in his Kampala home. The attack was carried out by one or more male attackers.
In 2009, more than a 100 activists were arrested in a swoop on a community centre in Nottingham in an operation involving hundreds of police.
They were alleged to be planning to close down Ratcliffe-on-Soar power station. It was revealed that one of the organisers of the alleged protest, Mark Stone, was an undercover cop who had tipped off the police.
Stone was unveiled after his partner found a passport in his real name of Mark Kennedy. He was confronted by Camp for Climate Action activists and confessed all.
West Papuan refugees in Papua New Guinea have been terrorised and arrested by police, West Papua Media Alerts said on January 28. They were allegedly arrested on behalf of the Indonesian military and local logging interests.
Police and soldiers rounded up 79 refugees living in camps around Vanimo, on PNG’s north coast near the border with West Papua, in the early hours of January 23.
The soldiers burned down at least 30 refugee houses, destroyed crops and food, and assaulted people, WPMA said. Other refugees have reportedly fled to the jungle.
Regardless of the outcomes of the Egyptian and Tunisian revolutions, and regardless of whether protests for democracy in Yemen, Jordan and other Arab countries grow into similar uprisings, the Middle East has fundamentally changed.
The people have lost their fear.
Spearheaded by youth, millions of ordinary people have thrown off their fear of state violence and taken to the streets to oppose poverty, state violence and corruption.
Their demands have been for freedom of speech, democratic and accountable government and economic justice.
Thousands of students braved the notoriously brutal Sudanese police and security forces on January 30 in anti-government protests inspired by the Tunisian and Egyptian uprisings, SudaneseTribune.com reported that day.
Rallies took place at three universities and other sites across the capital, as well as in east and west Sudan.
Students called for General Omar al Bashir’s National Congress Party government to resign and condemned recent austerity measures and ongoing attacks of democratic rights.
Ongoing democracy protests in Tunisia, which continued beyond the January 14 overthrow of President Zine al-Abidine Ben Ali to demand a government free from the former ruling party, were hit by a wave of vicious repression in late January.
The protesters from the “caravan of liberation”, which had camped for five days outside Prime Minister Mohamed Ghannouchi’s offices in Tunis, were driven off the streets on January 29.
More than 1000 members of the United Socialist Party of Venezuela (PSUV) met with President Hugo Chavez on January 19 and decided on five key strategic lines for the next two years.
The discussion included recognition of important weaknesses in the party.
Chavez, who is also president of the governing PSUV, presented the document, Strategic Lines of Political Action of the PSUV for 2011-2012, to the “National Assembly of Socialists” in Vargas state.
About 1440 party leaders were present.
The popular uprising which has swept Egypt over the past two weeks, inspired by the revolt which drove the Tunisian dictator from power in mid-January, is the expression of a people’s power movement in the Arab world which has been 40 years in the making.
I have been waiting for this for a long time. I lived in Cairo for six months in the first half of 1967, until the so-called Six Day War forced my family to leave Egypt for Britain.
My father was a meteorological scientist working through the United Nations with the Eqyptian agriculture department for a time.
Venezuela’s petroleum corporation in the US, Citgo, announced on January 27 the start of its sixth year providing subsidised heating oil to low-income people in the US.
An estimated 132,000 households across the US will benefit from the program this year, amounting to US$60 million of savings.
The program is carried out with US non-profit group Citizens Energy Corporation. Joseph P. Kennedy II said: “Every year, we hear from families who struggle each and every day to put food on the table and heat their homes.
Irish Taosiech (prime minister) Brian Cowen resigned as leader of the government Fianna Fail party on January 22.
The move came in the midst of a political crisis caused by the Cowen government accepting an 85 billion euro bailout package from the European Union and International Monetary Fund.
The package will be accompanied by savage spending cuts that will drastically deepen the austerity imposed on the Irish people in response to the financial crisis that hit the southern Irish state in 2008.
For a decade, Ireland was heralded by the most ardent partisans of neoliberal capitalism as a model to be imitated. The “Celtic Tiger” had a higher growth rate than the European average.
Tax rates on companies had been reduced to 12.5% and the rate actually paid by the transnational corporations that had set up business there was between 3 and 4% — a CEO’s dream! By comparison, the company tax rate is 39.5% in Japan, 39.2% in Britain, 34.4% in France and 28% in the US.
Ireland’s budget deficit was nil in 2007. In this earthly paradise, everybody seemed to benefit.
Cuban Revolution leader Fidel Castro said on February 1 that not even the support of the United States will be able to save the Egyptian government. Likewise, he pointed out that for the first time the world is simultaneously facing three problems: climate crises, food crises and political crises.
* * *
Reflections by Fidel Castro: Mubarak's fate is sealed
Egyptian President Hosni Mubarak’s fate is sealed, not even the support of the United States will be able to save his government.
Culture
“People say to me, ‘You’re still talking about politics?’ and I say, ‘C’mon, life is politics’”, Afro-fusion singer-songwriter Wunmi told Green Left Weekly while she was in Sydney as part of the Big Day Out (BDO) music festival.
“We live in an environment where things are constantly happening, how can you not talk about it?”
Wunmi has a big name (it’s Ibiwunmi Omotayo Olufunke Felicity Olaiya), big hair, and a big voice — and she was this year’s BDO’s best kept secret.
Amanda Palmer Goes Down Under
First single: ‘Map of Tasmania’
Amanda Palmer
Available at www.amandapalmer.net/afp
I first met US singer-songwriter Amanda Palmer when she was playing with drummer Brian Viglione in punk cabaret band The Dresden Dolls. Her song writing and performance was brutally honest, going places stylistically and thematically into which very few performers in today’s music industry venture.
Fighting Fund
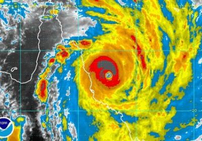
As category five tropical cyclone Yasi approached the north Queensland coast on February 3, a political cyclone was already sweeping Egypt. For days, Australian TV news was dominated by these two stories.
Incredibly, in Egypt the main government TV station news failed to report the fact that millions of Egyptians had taken to the streets in a huge February 1 protest against the Hosni Mubarak dictatorship.
Hiding the truth is what you’d expect from an iron-fisted dictatorship that has long sub-contracted its services to the CIA to torture victims of the “war on terror”.
Letters
Sexism getting worse, not better
Jess Moore, in her article “Raunch culture, sex and sexuality” (GLW#864), addresses some important issues affecting women today.
I don’t disagree with her main conclusion (replace sexist heterosexual raunch culture with non-sexist and queer raunch culture) but feel it is a little simplistic (although I guess with word limits that’s hard to avoid).
There has been a new wave of excellent books by feminist writers published in the last couple of years that critique current social trends.
Resistance!
In her January 26 speech to commemorate Australia Day, Prime Minister Julia Gillard took the opportunity to celebrate what she called the “bonds of mateship”, which had been “on such strong display” in the aftermath of the recent devastating floods.
However, this year’s Australia Day celebrations were also marred by violence. This is not unusual.
Police made 180 Australia Day-related arrests throughout New South Wales on January 26.



































