Floods, cyclone shows climate action needed now

A 2010 Queensland government report noted: 'With our changing climate, flooding events are likely to become more frequent and mo

The statement below was released by the Socialist Alliance on February 4.


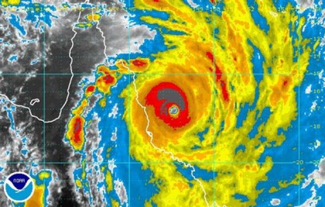
Solidarity and support is needed to help with the impact of the devastating floods that swept through Queensland and other states in January, and Cyclone Yasi that hit northern Queensland in early February.

The cost of loss of life and personal trauma is incalculable, and the resources needed to rebuild will be huge.

Future prevention or reduction must be part of this. When extreme weather events happen more often and with greater intensity, that's not just weather. Climate — the average of weather — is changing.

So we must tackle climate change.

For decades, scientists have warned that carbon pollution will lead to more frequent and intense weather.

The Australian government's own research and material reflects this. The Department of Climate Change website lists “observed climate changes”, including increases in atmospheric moisture content, more heavy precipitation events, and more of the most intense tropical cyclones.

Likewise, a 2010 Queensland government report titled Increasing Queensland's Resilience to Inland Flooding in a Changing Climate notes: “With our changing climate, flooding events are likely to become more frequent and more intense.”

There is no single cause of complex weather events, but we know our weather today is a combination of natural variability and climate change.

Global warming is intensifying the effects of the wet La Nina events that take place once or twice a decade. We are now in one of the strongest La Nina events yet measured.

Meanwhile, ocean surface temperatures off northern Australia have been at record levels — as much as 5°C above average in some places.

These factors also mean longer lasting cyclones and a higher chance they will cross the coast. Coupled with climate change, the average intensity of cyclones is rising. It is likely they will become even more frequent during La Nina events.

Given this knowledge, silence on the contribution of climate change to the January floods and Cyclone Yasi is dangerous; and inaction is criminal.

The Australian and Queensland governments are putting fossil fuel company profits ahead of human safety.

The federal government continues to subsidise the fossil fuel industry, but it cuts funds from renewable energy projects and fails to reduce emissions. It also wants to levy working people to pay for reconstruction.

Meanwhile, insurers try to get out of assisting people at this time of crisis.

We need government regulation to quickly phase out carbon intensive industries, and direct public investment in renewable energy, public transport, sustainable farming and other carbon abatement programs.

We need to shift the Australian economy beyond zero emissions and reduce carbon in the atmosphere to near pre-industrial levels.

We need polluters to pay the full environmental cost of their practices, to fund flood recovery, reconstruction and the transition to zero emissions and beyond.

The billions of dollars in state and federal government subsidies to the coal industry should be redirected likewise.

And while we work to lessen the impact, we must recognise that dangerous climate change is here and that this is only the beginning.

The 2009 Victorian bush fires, and the 2010 floods in Pakistan and firestorms in Russia, point to the possible scale of future dangerous climate change disasters.

We also need a publicly owned and managed insurance scheme to guarantee rapid disaster relief and rebuilding of affected areas.

You need Green Left, and we need you!

Green Left is funded by contributions from readers and supporters. Help us reach our funding target.

Make a One-off Donation or choose from one of our Monthly Donation options.

Become a supporter to get the digital edition for $5 per month or the print edition for $10 per month. One-time payment options are available.

You can also call 1800 634 206 to make a donation or to become a supporter. Thank you.